貸し倉庫検索サイト

LOGI PICK by 株式会社ASSORT

埼玉県鶴ヶ島市大字藤金196|貸し倉庫

物件番号:3196

物件情報

所在地
埼玉県鶴ヶ島市大字藤金196-2
空き状況
使用中
アクセス
■関越道「鶴ヶ島IC」2.5㎞ ■圏央道「圏央鶴ヶ島IC」2.5㎞ ■東武東上線「鶴ヶ島」1.8㎞「若葉」1.6㎞
賃貸/寄託
賃貸
賃料(月額)
2,145,000円
敷金/保証金
4ヶ月
礼金
1ヶ月
使用開始日
2026年9⽉1⽇
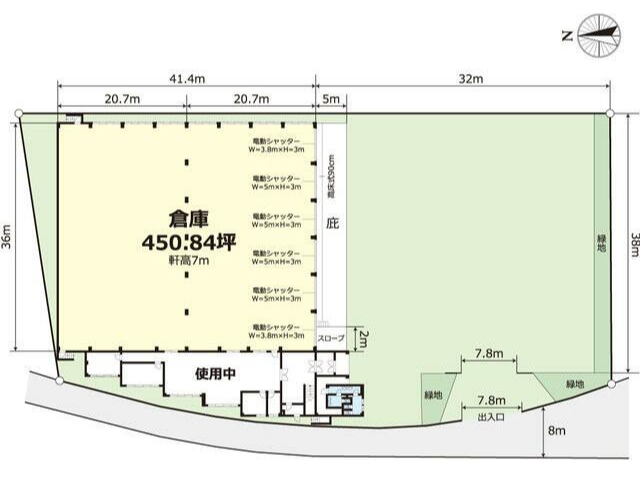
契約面積
451坪
敷地面積
1,217坪
床式
高床式
天井高
軒高7m
竣工
1992年
構造
S造
用途地域
市街化調整区域
階層
1階
駐車場
設備
■平屋建て ■電動シャッター:(W=5m×H=3m)4ヶ所、(W=3.8m×H=3m)2ヶ所 ■男女別トイレ ■車寄せスペース、荷積みスペース ■土日・祝日利用可 ■大型トラック搬入可 ■駐車場別途相談
備考
■償却:1ヶ月 ■契約期間:3年

お電話でのお問い合わせも可能です。

お電話の際は、ページ上部にある記載の物件番号をお伝えいただくとスムーズです。

LOGI PICK LOGO
copyright © 2023 LOGI PICK All Right Reserved.