
物件情報
- 所在地
- 埼玉県さいたま市岩槻区鹿室770-1
- アクセス
- ■東北自動車道「岩槻IC」約8㎞ ■東北自動車道「蓮田スマートIC出入口」約5㎞ ■圏央道「白岡菖蒲IC」約13㎞
- ポイント
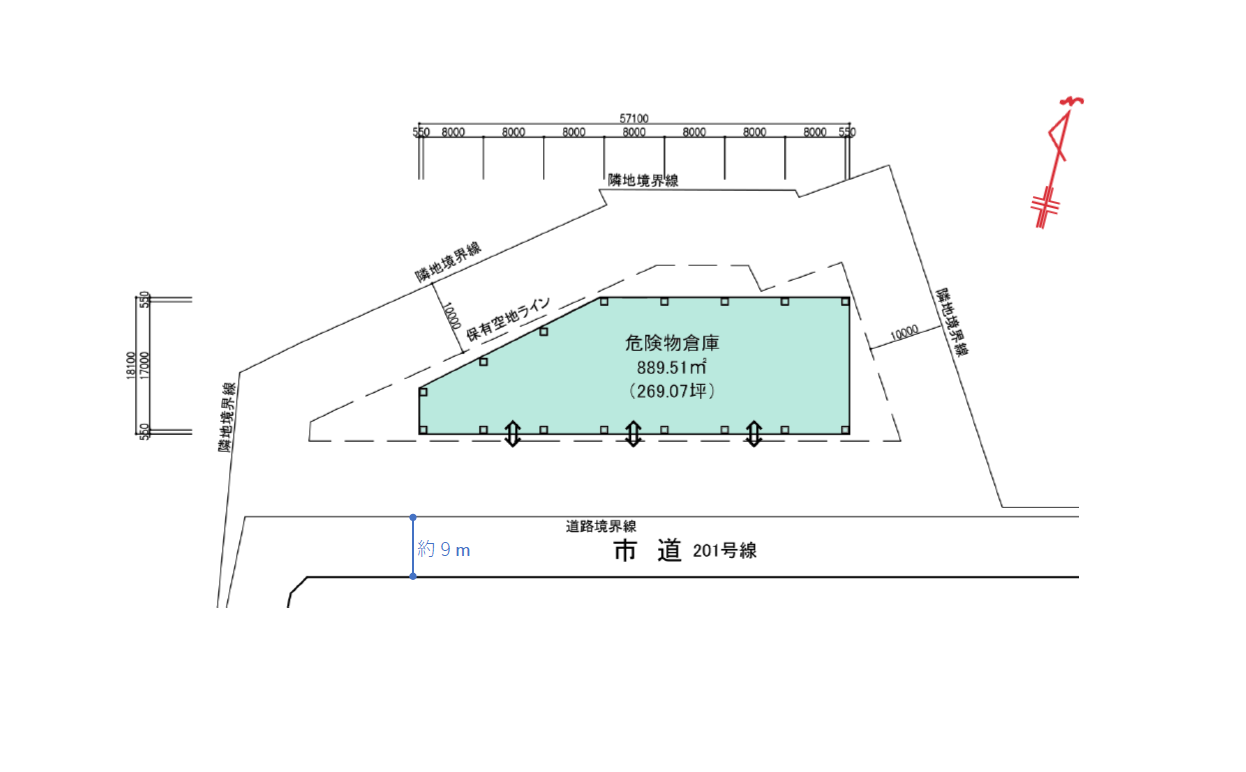
- ★最小区画約3,290坪~ ★危険物倉庫あり
- 賃貸/寄託
- 賃貸
- 賃料(月額)
- 要お問い合わせ
- 共益費/管理費(月額)
- 要お問い合わせ
- 敷金/保証金
- 要お問い合わせ
- 礼金
- 要お問い合わせ
- 使用開始日
- 2027年下期予定
- 契約面積
- 16,910坪
- 敷地面積
- 14,848坪
- 床荷量
- 1.5t/m2
- 天井高
- 5.5m
- 竣工
- 2027年
- 構造
- S造
- 用途地域
- 市街化調整区域
- 階層
- 2階
- 区画
- 1階-2階
- 駐車場
- 有
- 設備
- ■1階両面バース ■荷物用EV・垂直搬送機将来対応可能 ■駐車場:乗用車121台、大型車10台 ■敷地内危険物倉庫(269坪)予定 ■敷地内厚生施設や送迎車両用駐停車施設等整備相談可 ■事務所
お電話でのお問い合わせも可能です。
お電話の際は、ページ上部にある記載の物件番号をお伝えいただくとスムーズです。